台風前の5連勝☆彡
2018年09月24日
はいさーい(^^)/コーキです 24号チャーミーの影響で北風&ウネリが出てきたので 今日は朝マン狙って正解でした!気温31.8℃ 水温29℃ 透明度10~15m 不安定な天候ながらエントリー中は太陽が出て
光の射す水面を見上げながら待って待って マンタをじっとじーっとひたすら待って
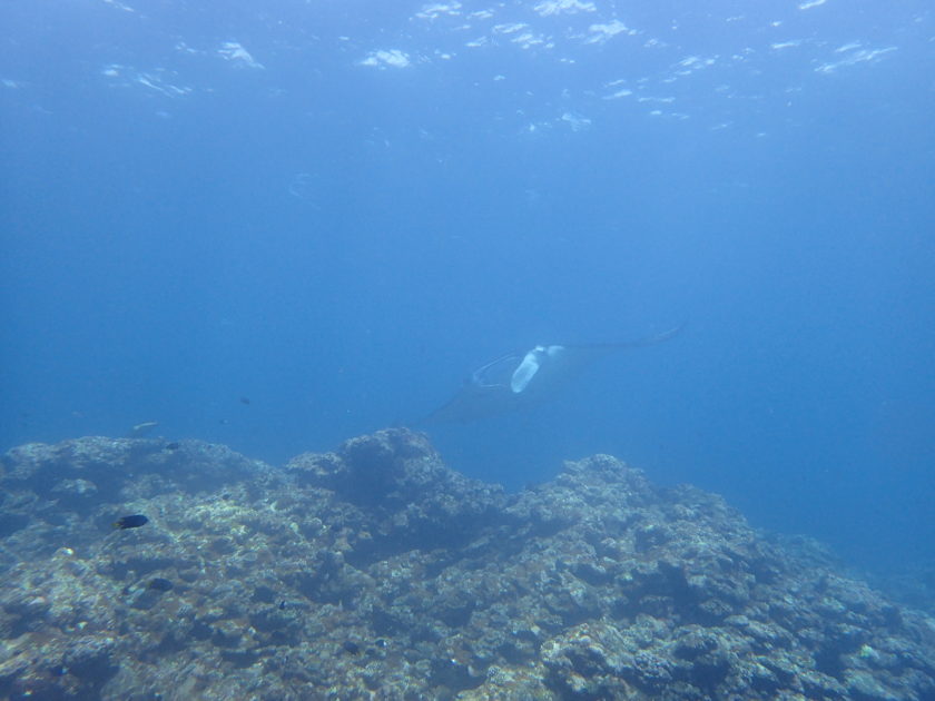
諦めかけた頃にマンタ登場☆5連勝
ホバリングタイムは終始続いて
幸せな時間が過ぎていきましたぁ
9月はこれがラストマンタになりそうなので
しっかり目に焼き付けとこーーっと(*‘ω‘ *)OW講習チームは
デバスズメの楽園でスキル&泳ぐ練習
こんなとこでライセンス講習なんて羨ましいぞぉ
シュノーケルチームも
魚たちといっぱい遊びましたぁ 台風の予報進路がコロコロ変わり なかなか今後の動きが読めませんが 石垣直撃に備えて26日には船の台風対策しよう思います!

気温31.8℃ 水温29℃ 透明度10~15m
不安定な天候ながらエントリー中は太陽が出て
光の射す水面を見上げながら待って待って
マンタをじっとじーっとひたすら待って
諦めかけた頃にマンタ登場☆5連勝
ホバリングタイムは終始続いて
幸せな時間が過ぎていきましたぁ
9月はこれがラストマンタになりそうなので
OW講習チームは
デバスズメの楽園でスキル&泳ぐ練習
こんなとこでライセンス講習なんて羨ましいぞぉ
シュノーケルチームも
魚たちといっぱい遊びましたぁ
台風の予報進路がコロコロ変わり
なかなか今後の動きが読めませんが
石垣直撃に備えて26日には船の台風対策しよう思います!



