大興奮の黒島ンタ!
2026年02月09日
はいさーい!相変わらず窒素は溜まってもお金は貯まらないコーキでーす(^^)/ 今日は体験ダイビング&シュノーケリングで黒島の海へGO~☆彡午前中はどんより曇り空で北風も強く極寒でしたが、午後から徐々に風も落ち着いて太陽も出て暖かくなりましたぁ 気温17.7℃ 水温21℃ 北東の風 曇り 【黒島V字ドロップ】透視度25m 初体験ダイブも順調に潜れて黒島ブルーに包まれてピースが止まらない!
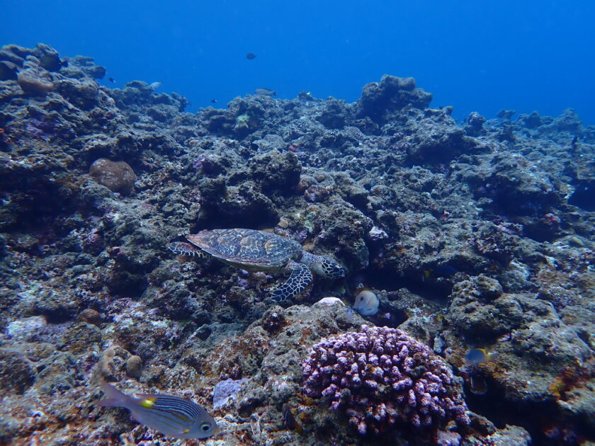
サンゴの隙間で休憩中のタイマイ発見。ギザギザの甲羅と尖ったお口がチャームポイントのウミガメさん
青い宇宙をふわふわ散歩中のアオウミガメ!
キター!冬の黒島名物水面マンタ!
巨大なナンヨウマンタが大きな翼を広げてやってきたぁ
大量に発生したプランクトンをガバーっと大きな口を開けて捕食~!
マンタの口の辺りをよく見るとパイロットフィッシュが先導して泳いでましたぁ! 大興奮の黒島ンタは今がトップシーズンでーす(^^)/

午前中はどんより曇り空で北風も強く極寒でしたが、午後から徐々に風も落ち着いて太陽も出て暖かくなりましたぁ
気温17.7℃ 水温21℃ 北東の風 曇り
【黒島V字ドロップ】透視度25m
初体験ダイブも順調に潜れて黒島ブルーに包まれてピースが止まらない!
サンゴの隙間で休憩中のタイマイ発見。ギザギザの甲羅と尖ったお口がチャームポイントのウミガメさん
青い宇宙をふわふわ散歩中のアオウミガメ!
キター!冬の黒島名物水面マンタ!
巨大なナンヨウマンタが大きな翼を広げてやってきたぁ
大量に発生したプランクトンをガバーっと大きな口を開けて捕食~!
マンタの口の辺りをよく見るとパイロットフィッシュが先導して泳いでましたぁ!
大興奮の黒島ンタは今がトップシーズンでーす(^^)/



