水中散歩で冬の石垣島は宝探しの連続なのだ
2025年12月27日
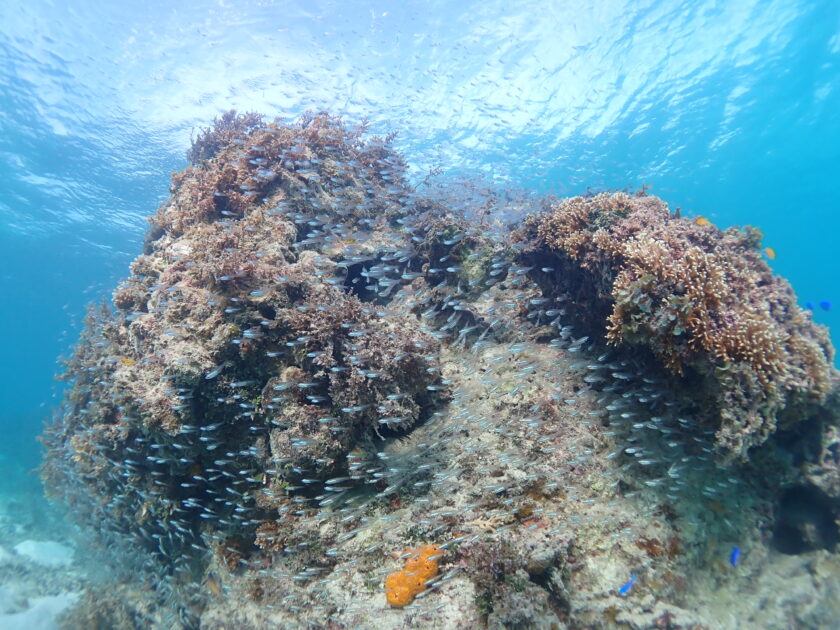
はいさーい!相変わらず窒素は溜まってもお金は貯まらないコーキでーす(^^)/ 今日も南ぬ島の海は絶好調!個性豊かな生き物たちとの出会いをレポートしまーす。12月とは思えない暖かさの中、離島の海を楽しんできましたぁ☆彡 気温23℃ 水温20~22℃ 東の風やや強く 晴れ時々曇り 青空、エメラルドの海!出港直後のボート上は期待感でいっぱいです。ウエットスーツに身を包み、石垣島の風を感じながら、いざ秘密のダイブポイントへと向かいます。 【竹富島ブラックパール】透視度20m まるで水中の大都会!
大きなサンゴの根を覆い尽くす魚たちの活気に圧倒されます。小魚のカーテンをかき分けて進む感覚は、ダイビングならではの醍醐味。生命のエネルギーを全身で浴びてきました。 イソギンチャクのベッドからひょっこり
![]()
白い3本線がチャームポイントの独り暮らしのハマクマノミbaby。ぷくぷくした触手に包まれて、居心地が良さそうですね。こちらをじっと見つめる視線がたまりません。
揺れるサンゴの森から「こんにちは!」![]()
白いバンドが鮮やかなカクレクマノミは、いつ見ても癒やし系。イソギンチャクと共生する不思議な生態を、じっくりと観察することができた幸せな時間でした。
チャツボボヤの隙間をちょろちょろと動く黄色い影。![]()
正体はハタタテギンポの幼魚でした!指先ほどの小ささですが、その姿はミニミニサイズで老眼泣かせ。カメラのピント合わせも真剣勝負です。
【黒島ツインロック】透視度30m
憧れのアオウミガメとランデブー!
すぐ横を泳ぐダイバーとの距離感が、石垣の海の優しさを物語っています。ゆったりとしたヒレの動きに合わせ、私たちも自然と穏やかな気持ちになれました。
小さな角をピコピコ動かすキュートな仕草
岩肌で宝石のようなケラマミウミウシの幼体を発見しました。白い体にオレンジの角がとってもオシャレで、マクロ派ダイバーにはたまらない癒やしの出会いです。
「そこ、僕の特等席なんだ」と言いたげに、サンゴの下に収まるコクテンフグ。
スノーケリングでも十分楽しめる驚異の透明度!模様がまるでお化粧したように見えることからその名がつきました。のんびりした海の住人に、日々の忙しさを忘れさせてもらいましたぁ
水面からダイバーたちの泡が昇ってくるのが見えます。上下どちらを見ても「青」の世界。この浮遊感は、一度味わったら忘れられない最高の贅沢です。 【黒島仲本ケーブ】透視度30m 見渡す限りの黒島ブルー&グルクンシャワー
石垣島の県魚でもある彼らが一斉に動く姿は圧巻の一言です。濃いブルーのグラデーションに溶け込む魚たちの群れに、心が震える瞬間でした。 小さな体で洞窟入口をパトロール中のシマキンチャクフグ。
黒いラインとオレンジのアクセントがとってもスタイリッシュ。毒を持っているとは思えないほど可愛い見た目に、ギャップ萌えしてしまいますね。 星屑のようにキラキラと輝き
地形ポイントの洞窟内では、ハタンポたちが一斉に泳ぎ出し、暗闇を銀色に彩る迫力満点のシーンに出会えました。 最後は光が差し込むクレパスへ
アカククリが優雅に舞う姿は、まるで水中の教会のようで神聖な気持ちになります。ダイナミックな地形と光のカーテンを堪能した、感動の一日でしたぁ(^^)/
本日のダイビングも無事終了!皆さんの笑顔が最高のプレゼントでした。明日はどんな出会いが待っているでしょうね?

出港直後のボート上は期待感でいっぱいです。ウエットスーツに身を包み、石垣島の風を感じながら、いざ秘密のダイブポイントへと向かいます。
【竹富島ブラックパール】透視度20m
まるで水中の大都会!
大きなサンゴの根を覆い尽くす魚たちの活気に圧倒されます。小魚のカーテンをかき分けて進む感覚は、ダイビングならではの醍醐味。生命のエネルギーを全身で浴びてきました。
イソギンチャクのベッドからひょっこり


模様がまるでお化粧したように見えることからその名がつきました。のんびりした海の住人に、日々の忙しさを忘れさせてもらいましたぁ
水面からダイバーたちの泡が昇ってくるのが見えます。上下どちらを見ても「青」の世界。この浮遊感は、一度味わったら忘れられない最高の贅沢です。
【黒島仲本ケーブ】透視度30m
見渡す限りの黒島ブルー&グルクンシャワー
石垣島の県魚でもある彼らが一斉に動く姿は圧巻の一言です。濃いブルーのグラデーションに溶け込む魚たちの群れに、心が震える瞬間でした。
小さな体で洞窟入口をパトロール中のシマキンチャクフグ。
黒いラインとオレンジのアクセントがとってもスタイリッシュ。毒を持っているとは思えないほど可愛い見た目に、ギャップ萌えしてしまいますね。
星屑のようにキラキラと輝き
地形ポイントの洞窟内では、ハタンポたちが一斉に泳ぎ出し、暗闇を銀色に彩る迫力満点のシーンに出会えました。
最後は光が差し込むクレパスへ
アカククリが優雅に舞う姿は、まるで水中の教会のようで神聖な気持ちになります。ダイナミックな地形と光のカーテンを堪能した、感動の一日でしたぁ(^^)/



