笑ってるよね~!
2022年08月21日
はいさーい!相変わらず窒素は溜まってもお金は貯まらないコーキでーす(^^♪ 今日もダイビング日和の石垣島~FUNダイブ&AOW講習&OWD講習&体験ダイブで海へGO~ 気温32.3℃ 水温30℃ 透視度20m 南南西の風 晴れ
見上げれば風&波も穏やかで太陽シャキーンの水面☆
深場のガレ斜面ではダンダラダテハゼや
ライトの光に反射してピカピカ光るウコンハネガイとクレナイニセスズメ
ホワイトハウスのクマノミbaby
アカネハナゴイ&キンギョハナダイの楽園天国~
そこには笑ってるようにしか見えない笑顔のイシガキカエルウオ
どこでも会えるしやっぱこの子が一番好きやわ~♡
棒みたいに長ーいアオヤガラ!
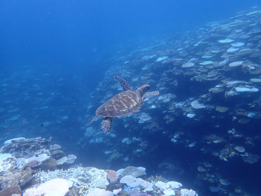
警戒心ゼロのアオウミガメは6個体に逢えましたぁ
ご夫婦でOWD&AOWのライセンス無事GET~!
新婚さんはハネムーンで初体験ダイビング大成功!!! ラストは絶不調のマンタ狙いで石崎へ
白化が相当やばいサンゴの景色が異様に白く明るく感じます! 7年前の大白化が頭をよぎる。。。
ハナゴイたちがめちゃ綺麗www
今日も残念ながらノーマンタちん(*_*)ホバリングの根でカメが優雅に泳いでました(^^)/

FUNダイブ&AOW講習&OWD講習&体験ダイブで海へGO~
気温32.3℃ 水温30℃ 透視度20m 南南西の風 晴れ
見上げれば風&波も穏やかで太陽シャキーンの水面☆
深場のガレ斜面ではダンダラダテハゼや
ライトの光に反射してピカピカ光るウコンハネガイとクレナイニセスズメ
ホワイトハウスのクマノミbaby
アカネハナゴイ&キンギョハナダイの楽園天国~
そこには笑ってるようにしか見えない笑顔のイシガキカエルウオ
どこでも会えるしやっぱこの子が一番好きやわ~♡
棒みたいに長ーいアオヤガラ!
警戒心ゼロのアオウミガメは6個体に逢えましたぁ
ご夫婦でOWD&AOWのライセンス無事GET~!
新婚さんはハネムーンで初体験ダイビング大成功!!!
ラストは絶不調のマンタ狙いで石崎へ
白化が相当やばいサンゴの景色が異様に白く明るく感じます!
7年前の大白化が頭をよぎる。。。
ハナゴイたちがめちゃ綺麗www
今日も残念ながらノーマンタちん(*_*)ホバリングの根でカメが優雅に泳いでました(^^)/



